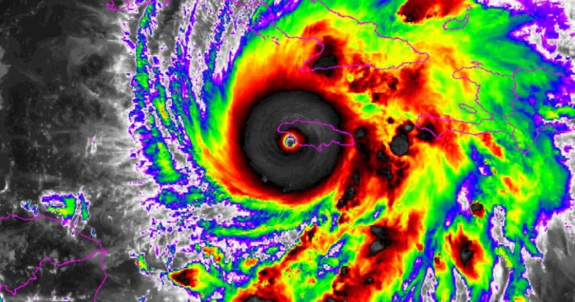
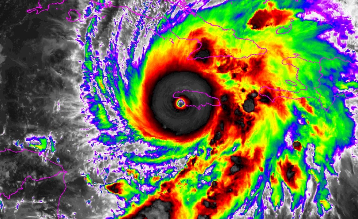
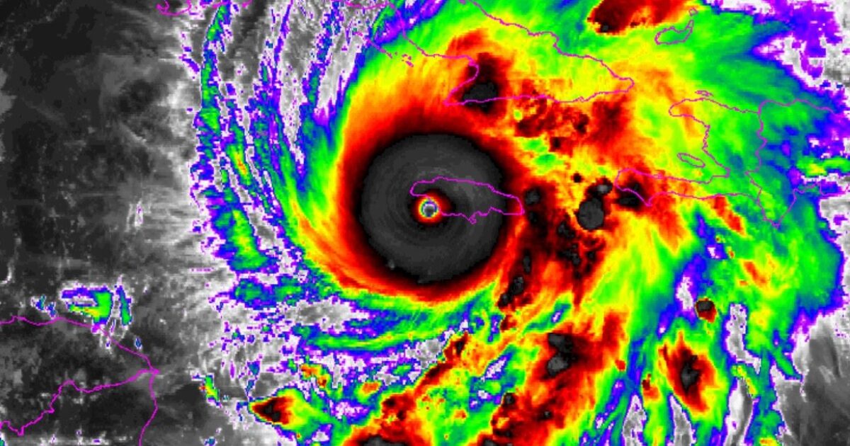
Home Politics WATCH LIVE: Hurricane Melissa Makes Landfall in Jamaica as a Monster Category 5 Storm (STORM CHASER VIDEOS)